• Guyane-SIG
  •  
  •  
  •  

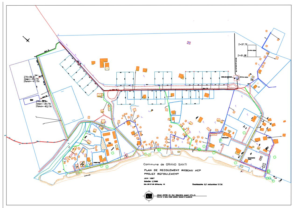
Plan de récolement du réseau d'eau potable de Grand-Santi (1997)

Plan de récolement du réseau d'eau potable de la commune de Grand-Santi.

Simple

Date (Publication)
1997-06-01T00:00:00
Status
Completed
Resource provider
  Mairie de Grand-Santi - Direction Générale des Service
Le Bourg , GRAND-SANTI , 97340 , Guyane française
Processor
  DEFOS DU RAU
854 route de Rémire - Immeuble Patawa - BP 48 , REMIRE-MONTJOLY , 97354 , Guyane française
Distributor
  CTG - Collectivité Territoriale de Guyane - Service de l’Information Géographique
4179 route de Montabo - Carrefour de Suzini , CAYENNE , 97300 , Guyane Française
Maintenance and update frequency
Unknown
Keywords
  • eau potable
  • adduction
  • guyane
  • 1997
  • grand-santi
Region
  • French Guiana
GEMET - INSPIRE themes, version 1.0
  • Services d'utilité publique et services publics
Other constraints
Accord nécessaire du fournisseur de cette donnée en préalable au téléchargement
Spatial representation type
Vector
Denominator
1000
Metadata language
Français
Character set
UTF8
Topic category
  • Utilities communication
N
S
E
W
thumbnail


Distributor

Distributor
  CTG - Collectivité Territoriale de Guyane - Service de l’Information Géographique
4179 route de Montabo - Carrefour de Suzini , CAYENNE , 97300 , Guyane Française
Name
DWG, PDF
OnLine resource
AEP_GRAND-SANTI_1997-06_PLAN_RECOLEMENT_AEP_PROJET_REFOULEMENT.dwg ( WWW:DOWNLOAD-1.0-http--download )
OnLine resource
AEP_GRAND-SANTI_1997-06_PLAN_RECOLEMENT_AEP_PROJET_REFOULEMENT.pdf ( WWW:DOWNLOAD-1.0-http--download )
Hierarchy level
Dataset
File identifier
e6c9cb9b-9440-49bb-ab5a-3ef2eb1df1a4 XML
Metadata language
Français
Character set
UTF8
Hierarchy level
Dataset
Date stamp
2014-09-29T18:04:35
Metadata standard name
ISO 19115:2003/19139
Metadata standard version
1.0
Point of contact
  CTG - Collectivité Territoriale de Guyane - Service de l’Information Géographique
4179 route de Montabo - Carrefour de Suzini , CAYENNE , 97300 , Guyane Française
 
 

Overviews

overview
thumbnail
overview
large_thumbnail

Spatial extent

N
S
E
W
thumbnail


Keywords

GEMET - INSPIRE themes, version 1.0
Services d'utilité publique et services publics

Provided by

logo

Share on social sites

Access to the portal
Read here the full details and access to the data.

Associated resources

Not available


  •  
  •  
  •